Eng English
China 中国人

Eng English
China 中国人
  • News
  • World
  • Business
  • Entertainment
  • Sports
  • Law
  • Education
  • Health
  • Lifestyle
  • Travel
  • Science
  • Digital
  • Automobiles
  • Trở lại Thể thao
  • World
Tuesday, 23/9/2025 | 11:43 GMT+7

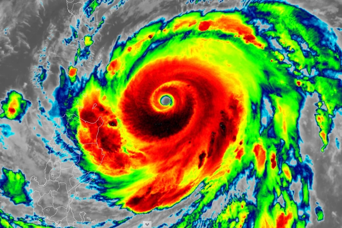
Super typhoon Ragasa, the strongest global storm of the year, slams the Philippines

Super typhoon Ragasa has become the strongest storm on Earth this year, making landfall in the Philippines with winds of 270 km/h.

The Weather Network (TWN), a Canadian meteorological organization, reported that super typhoon Ragasa reached 270 km/h and sustained these winds for a short period while making landfall in the Babuyan Islands north of the Philippines on 22/9.

These wind speeds surpassed those of two other super typhoons this year: Erin in the North Atlantic in August and Errol in the eastern Indian Ocean in mid-April, making Ragasa the strongest storm globally so far this year.

According to the US National Hurricane Center, storms with winds of 252 km/h or higher are classified as Category 5 on the 5-level Saffir-Simpson hurricane wind scale.

Storms of this magnitude can cause almost complete destruction of buildings, uproot trees and power lines, and leave affected areas without power and water for extended periods.

While a complete assessment of casualties and damage caused by Ragasa in the Philippines is not yet available, preliminary data indicates one fatality and several injuries due to a landslide in the northern part of the country.

Typhoon Ragasa before making landfall in the Philippines on 22/9. Photo: *TWN*

This year's typhoon season has seen multiple storms reach dangerous levels. In addition to Ragasa, both typhoons Erin and Errol reached 260 km/h at their peak.

Two Category 4 storms, Vince in the Indian Ocean in February and Neoguri currently forming in the Pacific Ocean, reached wind speeds of 250 and 235 km/h, respectively. The rapid succession of powerful storms highlights the unusual activity of this year's typhoon season.

Meteorologists attribute Ragasa's unusual intensification to high sea surface temperatures and atmospheric humidity. The storm experienced minimal wind shear, allowing the strength at its core to increase continuously. These factors created ideal conditions for rapid intensification, according to TWN.

The US Air Force and Navy's Joint Typhoon Warning Center (JTWC) reported that Ragasa weakened somewhat after crossing the Philippines but maintained winds of 230 km/h. The storm is now heading towards southeastern China, prompting local authorities to issue warnings of a "serious threat".

Landslide on Luzon Island due to flooding on 22/9, influenced by super typhoon Ragasa. Photo: *Rappler*

The Chinese government has declared a state of emergency in several cities in Guangdong province. Numerous schools, factories, and businesses have suspended operations. Public transportation, ferries, and rail services have been halted to prevent damage.

Shenzhen has announced preparations to evacuate 400,000 residents from coastal and low-lying areas. Guangzhou, home to over 18 million people, is likely to issue a red alert, the highest level of typhoon warning.

Officials in Hong Kong warn that Ragasa could cause damage comparable to super typhoons Hato in 2017 and Mangkhut in 2018, which caused hundreds of millions of USD in losses. In Macau, all schools have been ordered to close for two days.

From 23/9 to 26/9, southern China is forecast to experience heavy rain and strong winds, with some areas in the Pearl River Delta and coastal Guangdong potentially seeing exceptionally heavy rainfall. All high-speed and regular trains in Guangdong will be suspended on 24/9, with services gradually resuming from the morning of 25/9 as the storm weakens.

Thanh Danh (*CNN, Hong Kong Standards, China Daily, AFP*)

By VnExpress: https://vnexpress.net/ragasa-tro-thanh-sieu-bao-manh-nhat-the-gioi-tu-dau-nam-den-nay-4942418.html
Tags: super typhoon Philippines Ragasa

News in the same category

Ecuador calls stoning of presidential motorcade an 'assassination attempt'

Ecuador calls stoning of presidential motorcade an 'assassination attempt'

Ecuador's defense minister described the stoning of President Noboa's motorcade by hundreds of people as an "assassination attempt".

The moment Trump received notice of 'Gaza deal imminent'

The moment Trump received notice of 'Gaza deal imminent'

Newly released video shows Secretary of State Marco Rubio interrupting a White House meeting to hand President Trump a note about a Gaza peace deal.

Mysterious aircraft crashes near top-secret US base

Mysterious aircraft crashes near top-secret US base

The United States has sealed off airspace near the crash site of an unidentified aircraft, close to the top-secret Area 51 base in Nevada, sparking numerous questions.

General Secretary To Lam arrives in Pyongyang, begins visit to North Korea

General Secretary To Lam arrives in Pyongyang, begins visit to North Korea

General Secretary To Lam arrived at Pyongyang international airport this morning, commencing a state visit and attending the 80th founding anniversary celebration of the Workers' Party of Korea from 9-11/10.

Trump: Israel, Hamas reach phase one peace agreement

Trump: Israel, Hamas reach phase one peace agreement

President Trump announced Israel and Hamas have agreed to a phase one peace deal, describing it as a "great" development for the world.

Secret operation rescues US sailor's mother from Gaza

Secret operation rescues US sailor's mother from Gaza

Ahlam Firwana, mother of a US Navy corporal, was secretly and safely evacuated from Gaza, thanks to the intervention and coordination of US, Israeli, and Jordanian officials.

Ukraine's UAVs pressure Russia's oil industry

Ukraine's UAVs pressure Russia's oil industry

Russia, a leading global energy exporter, faces domestic fuel shortages as Ukraine repeatedly attacks its oil refining facilities.

Bear enters supermarket, attacks people

Bear enters supermarket, attacks people

A wild bear entered a supermarket in Numata City, attacking and injuring two customers, and ransacking the sushi display area.

Southern China provinces submerged by severe flooding

Southern China provinces submerged by severe flooding

Typhoon Matmo has triggered an orange flood warning in China's Guangxi province, causing river levels to exceed alert thresholds and submerging districts like Baise and Longzhou, which border Vietnam.

Trump calls for jailing Chicago mayor, Illinois governor

Trump calls for jailing Chicago mayor, Illinois governor

President Trump argues Chicago mayor Johnson and Illinois governor Pritzker should be jailed, accusing them of failing to protect immigration and customs enforcement agents.

Eng English
China 中国人
  • News
  • World
  • Business
  • Entertainment
  • Sports
  • Law
  • Education
  • Health
  • Lifestyle
  • Travel
  • Science
  • Digital
  • Automobiles
FPT Tower, 10 Pham Van Bach Street, Dich Vong Ward,
Cau Giay District, Hanoi, Vietnam
Email: contacts@vnportal.net
Tel: 028 7300 9999 - Ext 8556
Advertise with us: 090 293 9644
Register
© Copyright 2025 vnnow.net. All rights reserved.
Terms of use Privacy policy Cookies