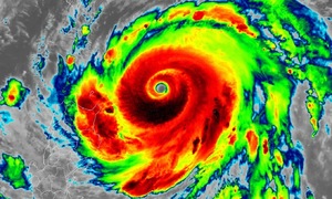
China's Meteorological Administration has labeled Ragasa the "King of Storms," predicting it to be the strongest typhoon to make landfall in the country this year.
Hungary and Slovakia were not invited to a meeting on a UAV defense project on the eastern border, while non-EU member Ukraine was proposed to participate.
Democrats are expressing disappointment with Kamala Harris, believing her book "107 Days" is controversial and divisive at the "worst possible time" for the party.
The British frigate HMS Richmond, currently visiting Vietnam, displays its advanced arsenal, including NSM anti-ship missiles and Sea Ceptor air defense systems.
Russia is escalating attacks on Ukraine's energy infrastructure ahead of winter, while Kyiv is retaliating in kind to cripple its adversary's finances.
Ukrainian intelligence claims to have attacked and destroyed two Russian Be-12 seaplanes in Crimea, marking the first time this type of aircraft has been targeted.
President Trump signed an executive order designating Antifa as a "domestic terrorist organization" following the assassination of Charlie Kirk, demanding an investigation into the movement's activities.
Hong Kong residents flocked to supermarkets to stock up on essential supplies as super typhoon Ragasa approached, predicted to bring significant destruction.
Vietnam hosted an event during the UN General Assembly high-level week in New York to promote the signing ceremony of the Hanoi Convention on Cybercrime, scheduled for October.
The White House has rejected Venezuelan President Nicolas Maduro's proposal for dialogue with President Trump to ease tensions between the two countries.
Secretary-General Guterres praised Vietnam's positive contributions across all the UN's priority areas, during a meeting with President Luong Cuong in New York.
France, along with other European countries like Belgium, Malta, Monaco, and Luxembourg, has declared recognition of the State of Palestine to promote peace.
An apartment in Ukraine was once thought to be "haunted" as its residents kept dying, but the real cause came from a radioactive source embedded in the wall.
President Putin has announced Russia's willingness to extend the New START treaty for another year to facilitate negotiations with the US on a new nuclear arms agreement.
Bagram air base, once a "symbol of American power" in Afghanistan before the chaotic withdrawal, is now the focus of Trump's demands for its return from the Taliban.